Table des matières
Occultation d'une étoile UCAC4-600-012360 par l'astéroïde (38) Leda le 5/12/2018 / Comètes
Détails de l'événement
Le 5 décembre 2018, à 22h01TU soit 23h01 TL l'astéroïde de 110,1 km de diamètre (38) Leda occultera une étoile de magnitude 11,5 dans la constellation du Taureau pour les observateurs le long d'un chemin à travers la Russie, et l'Europe.
Dans le cas d'une occultation, la magnitude combinée de l'astéroïde et de l'étoile chutera de 0,64 mag à 11,31 mag (la magnitude de l'astéroïde) pour une durée maximale de 11,1 secondes.
Détail: http://asteroidoccultation.com/2018_12/1205_38_57350.htm
Les prévisions de trace au sol montrent que nous sommes bien placés sur la ligne centrale.
Sortie
Une sortie d'observation est organisée conjointement par Adagio et le club de Quint-Fonsegrives, à Bélesta :
- au T300/ camera watec
- au T82 en drift scan
Présents : Pascal A, Pascal B, Lorian, Marie-Lise, Maïté, Jean-Christophe, Patrick B, Cédric, Fred + pour Adagio Patrick M et Dominique T
Le temps est incertain, se couvre et se découvre plusieurs fois dans la soirée, mais au moment de l'événement le ciel est clair.
Quelques photos d'ambiance
Résultats
Observation positive par deux techniques T300/Watec et T82cm en “drift scan” (filé d'étoiles).
T300 - WATEC910HX
rq: Il n'a pas été possible d'observer avec la seconde chaîne car le C8 était très embué.
Observation positive d'une occultation de durée 8.7s, ce qui correspond à une corde de 87km sur cet astéroïde de 110km dans son plus grand diamètre.
Observation positive également au T82 en drift scan.
Le phénomène n'est pas très spectaculaire sur place car la baisse de luminosité est faible (moins de 1 magnitude). En effet l'astéroïde est à peine moins brillant que l'étoile.
une image peu avant l'occultation :
Traitement Tangra par Pascal.
L'utilitaire AOTA du logiciel Occult 4 permet de repérer automatiquement le début et la fin de l'occultation :
Un rapport normalisé IOTA permet de communiquer nos résultats au réseau d'observateurs :
20181205_positive_occultation_leda_1_.pdf
Voici notre observation consolidée avec les autres stations :
https://euraster.ericfrappa.com/results/2018/20181205-Leda_crd.gif
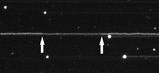
Observation au T82 :
1 - Occultation d’étoile par l'astéroïde Leda : le moteur du télescope a été stoppé pour laisser filer les étoiles du champ. Sur la trace de l'étoile occultée, on voit une baisse de luminosité (entre les 2 flèches blanches) pendant la durée de l'occultation (trace en dehors de l'occultation : luminosité étoile + astéroïde ; pendant l’occultation : luminosité astéroïde seul). La mesure de la longueur de la trace occultée donne une durée d'occultation de 8,85 s +/- 0,1s cohérente avec les mesures faites avec la caméra rapide et le T300
2 - Quelques minutes après l'occultation, une image du champ montre côte
à côte Leda et l'étoile qu'il vient d'occulter.











